Nell'ambulatorio veterinario di corso Giulio Cesare 261, a Torino, aperto da oltre 30 anni, il dottor Monticone e la dottoressa Ferrarese si occupano degli animali da compagnia (cani e gatti). Oltre ad occuparsi di medicina generale e chirurgia di base con l'ausilio di attrezzature diagnostiche (radiologia digitale, ecografia, endoscopia, laboratorio interno), effettuano interventi specialistici sui tessuti molli, interventi di ortopedia.
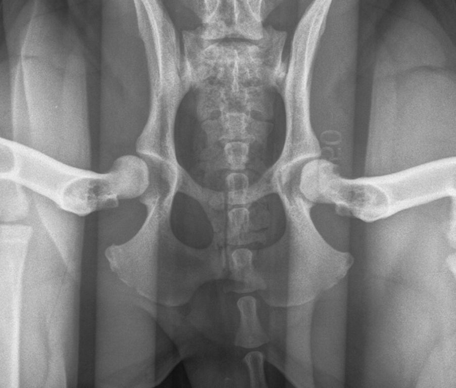
Il dottor Monticone è stato il primo in Italia ad effettuare la PennHIP, la metodica più precoce e più precisa per la diagnosi della displasia dell’anca.
Si può effettuare dai 4 mesi di età. Per poter eseguire la procedura PennHIP il veterinario che effettua l’esame deve avere completato un corso specifico, aver superato test di controllo qualità ed essere così certificato.
Ad oggi solo 2 medici veterinari in Italia sono abilitati ad effettuare questa metodica. Si effettuano 3 distinte radiografie (vedi foto) con il cane in sedazione.
La lettura delle radiografie viene effettuata esclusivamente dal centro di lettura PennHIP dell’Università della Pennsylvania.
La diagnosi così precoce rispetto a quella tradizionale permette di effettuare interventi preventivi nel caso di cane displasico. L'intervento che effettua il dottor Monticone, in genere, ha una durata di 30-45 minuti, è una chirurgia poco invasiva. Il cane può camminare non appena finisce l'effetto dell'anestesia e permette nella maggior parte dei casi che non si sviluppi la displasia nei soggetti a rischio.
Per i clienti l'ambulatorio offre un servizio gratuito via Whatsapp, per ogni necessità del paziente. Il proprietario può chiedere una consulenza per qualsiasi dubbio che riguarda il suo "amico peloso" e i dottori rispondono in qualsiasi momento, anche indirizzando il paziente alla clinica più vicina in caso di emergenza
https://www.facebook.com/ambulatorioveterinariogiuliocesare/
Telefono: 011.2052272 - ilarik.vet@gmail.com
Corso Giulio Cesare 261- Torino










